Description of biotope or habitat type
To understand more about what this page is describing, see How to use the classification. See also How to cite.
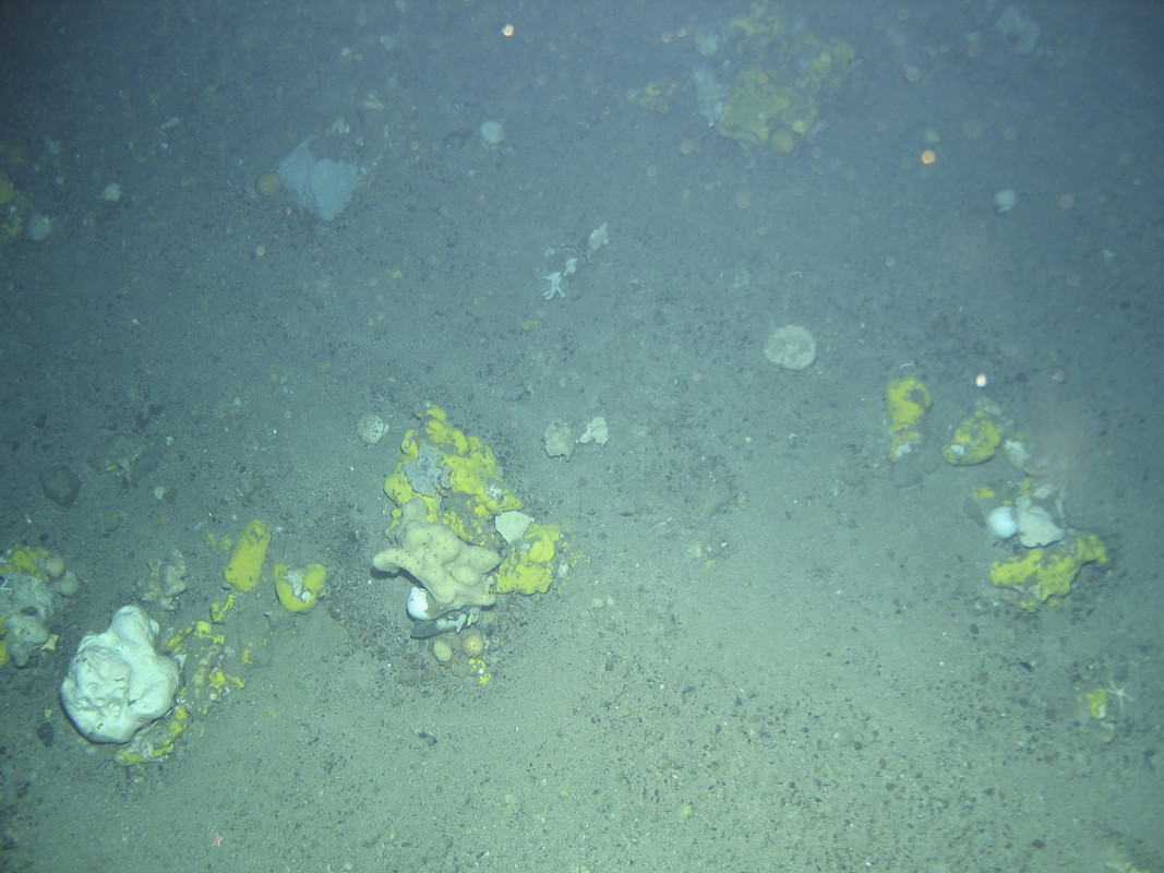
Geodia and other massive sponges on Atlanto-Arctic upper bathyal mixed sediment
Physical habitat description
| Salinity | Full (30-35 ppt) |
|---|---|
| Wave exposure | |
| Tidal streams | |
| Substratum | Mixed sediment |
| Zone | Atlanto-Arctic upper bathyal |
| Depth Band | Biotope depth range 300 - 600 m (based on zone); assemblage recorded from 400 - 600 m; most common depth 500 m |
| Other Features |
Download comparative physical and biological data. The comparative tables enable a rapid comparison of the species composition and principal physical characteristics between a given set of biotopes.
- Records used to define the biotope (core records)
- Other records assigned to this biotope, marked as 'certain'
- Other records assigned to this biotope, marked as 'uncertain'
- Predicted extent of the level 3 (for sublittoral rock & deep sea) or 4 (for sublittoral sediment) habitat
Point data based on records in the UK Marine Recorder Snapshot. Predicted habitat extent is from UKSeaMap.
Description
This biotope has been found at approximately 500m on the eastern slopes of the Faroe-Shetland Channel, it principally consists of rather small sponge specimens but that practically carpet the seafloor. Large sponges (tens of centimetres in diameter) are however common. The area where the community is observed experiences temperature fluctuations between <0°C to >8°C and heightend current speeds as a result of internal tides between Arctic and Atlantic environmental data. This assemblage is also known as Boreal Ostur. The same assemblage was recorded on sand substrate, but associated infaunal species are likely to differ. Characterising species listed refer to all Geodia and other massive sponge assemblages not just those found associated with the zone and substrate specified in this biotope.
Situation
No situation data available.
Temporal variation
No temporal variation data available.
Characterising species
| Taxon | % of core records where taxon was recorded |
|---|---|
| Geodia barretti | |
| Geodia macandrewii | |
| Geodia atlantica | |
| Geodia phlegraei | |
| Stryphnus ponderosus | |
| Stelletta normani |
Similar biotopes or habitat types
