Description of biotope or habitat type
To understand more about what this page is describing, see How to use the classification. See also How to cite.
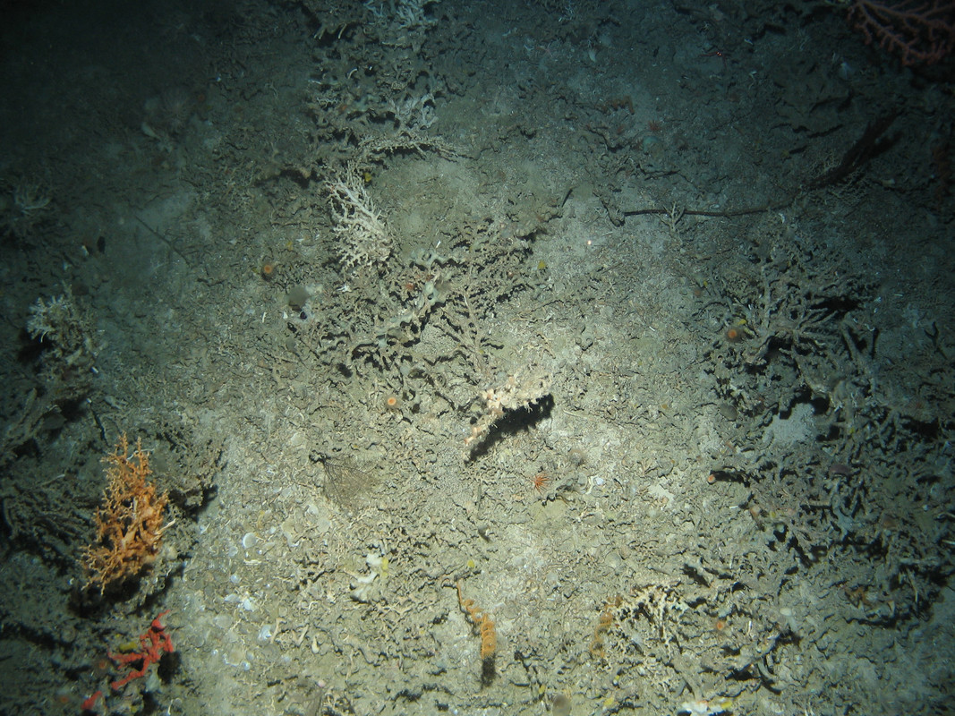
Mixed coral assemblage on Atlantic mid bathyal Lophelia pertusa reef framework (biogenic structure)
Physical habitat description
| Salinity | Full (30-35 ppt) |
|---|---|
| Wave exposure | |
| Tidal streams | |
| Substratum | Rock and other hard substrata - Lophelia pertusa coral framework |
| Zone | Atlantic mid bathyal |
| Depth Band | Biotope depth range 600 - 1300 m (based on zone); assemblage recorded from 458 - 1183 m; most common depth 865 m |
| Other Features |
Download comparative physical and biological data. The comparative tables enable a rapid comparison of the species composition and principal physical characteristics between a given set of biotopes.
- Records used to define the biotope (core records)
- Other records assigned to this biotope, marked as 'certain'
- Other records assigned to this biotope, marked as 'uncertain'
- Predicted extent of the level 3 (for sublittoral rock & deep sea) or 4 (for sublittoral sediment) habitat
Point data based on records in the UK Marine Recorder Snapshot. Predicted habitat extent is from UKSeaMap.
Description
This biotope represents the extensive, mostly dead, framework of Lophelia pertusa that support a high diversity of species including various other corals such as Caryophylliidae, Stichopathes gravieri, Antipathella, Acanthogorgia armarta and Leiopathes. Other conspicuous taxa include anemone Phelliactis and encrusting sponges. This may be found associated with Lophelia pertusa reef summit or may form beneath escarpments where live colonies of Lophelia pertusa grow but subsequently break off and form a rubble framework. The same assemblage is found in the upper bathyal but associated species are likely to vary. Characterising species listed refer to all mixed coral on Lophelia reef framework assemblages not just those found associated with the zone and substrate specified in this biotope.
Note: Although Lophelia pertusa (Linnaeus, 1758) is accepted as Desmophyllum pertusum (Linnaeus, 1758) in WoRMS, the molecular evidence is uncertain at present (2021) to grant a change in its taxonomic nomenclature. This will be revised once further evidence becomes available.
Situation
No situation data available.
Temporal variation
No temporal variation data available.
Characterising species
| Taxon | % of core records where taxon was recorded |
|---|---|
| Caryophylliidae | |
| Lophelia pertusa | |
| Ophiuroidea | |
| Phelliactis | |
| Cerianthidae | |
| Ascidiacea | |
| Stichopathes gravieri | |
| Actiniaria | |
| Antipathella | |
| Cidaris | |
| Decapoda | |
| Madrepora oculata | |
| Munida | |
| Acanthogorgia armata | |
| Leiopathes | |
| Porifera encrusting (pale - yellow, white, grey, cream, pink | |
| Serpulidae | |
| Porifera encrusting (blue) | |
| Porifera encrusting (orange) | |
| Majidae |
Similar biotopes or habitat types
M.AtLB.Bi.CorRee.SolFra
Deeper assemblage in the lower bathyal where mixed corals occur on Solenosmilia variabilis framework.
M.AtUB.Bi.CorRee.LopFra
The same epifaunal assemblage in the upper bathyal. Associated fauna may differ.
