Description of biotope or habitat type
To understand more about what this page is describing, see How to use the classification. See also How to cite.
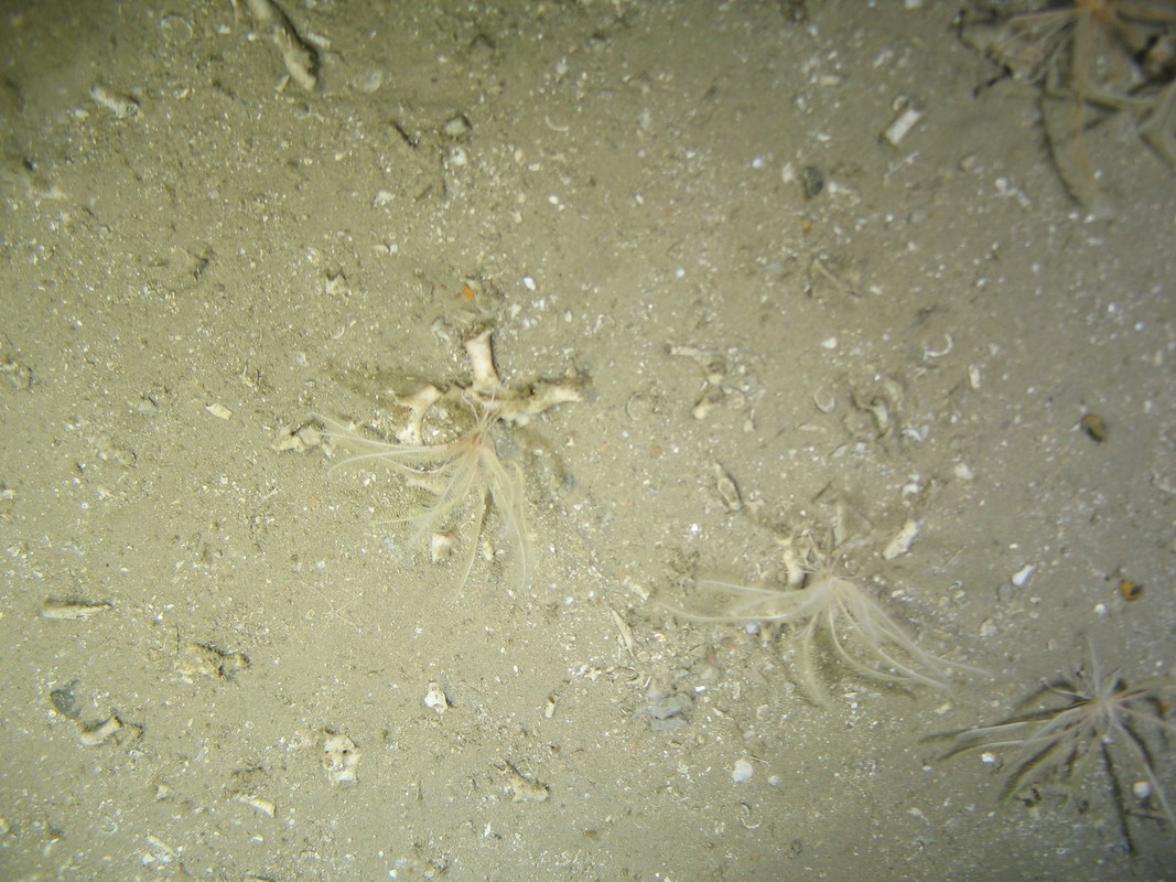
Leptometra celtica assemblage on Atlantic upper bathyal coarse sediment
Physical habitat description
| Salinity | Full (30-35 ppt) |
|---|---|
| Wave exposure | |
| Tidal streams | |
| Substratum | Coarse sediment |
| Zone | Atlantic upper bathyal |
| Depth Band | Biotope depth range 200 - 600 m (based on zone); assemblage recorded from 180 - 792 m |
| Other Features |
Download comparative physical and biological data. The comparative tables enable a rapid comparison of the species composition and principal physical characteristics between a given set of biotopes.
- Records used to define the biotope (core records)
- Other records assigned to this biotope, marked as 'certain'
- Other records assigned to this biotope, marked as 'uncertain'
- Predicted extent of the level 3 (for sublittoral rock & deep sea) or 4 (for sublittoral sediment) habitat
Point data based on records in the UK Marine Recorder Snapshot. Predicted habitat extent is from UKSeaMap.
Description
This biotope consists of dense aggregations of the crinoid Leptometra celtica on coarse sediment in the upper bathyal. It occurs at the shelf edge and in the heads of canyons. It is likely that the fast currents associated with the heads of canyon systems provide a favourable habitat for suspension feeding organisms such as crinoids. The same assemblage has been recorded in the mid bathyal on various substrate types but any associated species are likely to differ. Characterising species listed refer to all Leptometra celtica assemblages not just those found associated with the zone and substrate specified in this biotope.
Situation
No situation data available.
Temporal variation
No temporal variation data available.
Characterising species
| Taxon | % of core records where taxon was recorded |
|---|---|
| Leptometra celtica | |
| Crinoidea | |
| Munida |
Similar biotopes or habitat types
M.AtUB.Sa.CriCom.LepCel
The same epifaunal assemblage on sand. Associated infauna will differ.
M.AtMB.Co.CriCom.LepCel
The same epifaunal assemblage in the mid bathyal. Associated infauna will differ.
