Description of biotope or habitat type
To understand more about what this page is describing, see How to use the classification. See also How to cite.
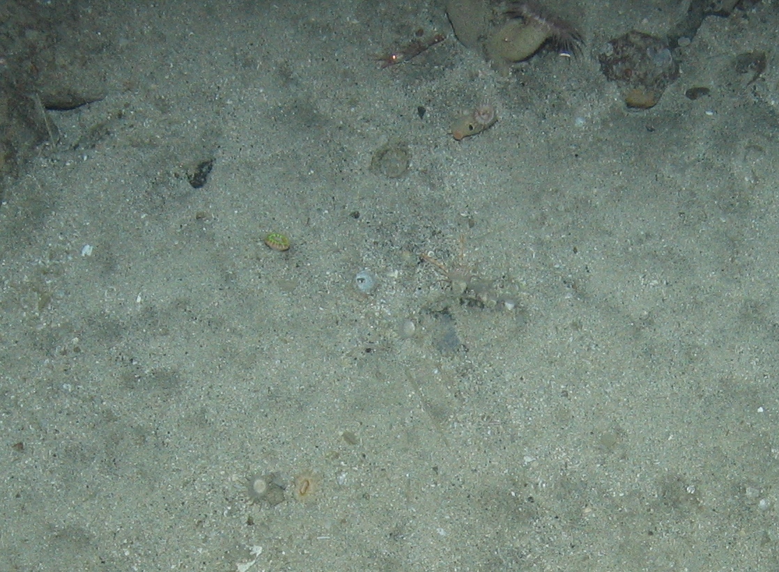
Caryophyllia smithii and Actinauge richardi assemblage on Atlantic upper bathyal coarse sediment
Physical habitat description
| Salinity | Full (30-35 ppt) |
|---|---|
| Wave exposure | |
| Tidal streams | |
| Substratum | Coarse sediment - gravelly sand |
| Zone | Atlantic upper bathyal |
| Depth Band | Biotope depth range 200 - 600 m (based on zone); assemblage recorded from 218 - 286 m |
| Other Features |
Download comparative physical and biological data. The comparative tables enable a rapid comparison of the species composition and principal physical characteristics between a given set of biotopes.
- Records used to define the biotope (core records)
- Other records assigned to this biotope, marked as 'certain'
- Other records assigned to this biotope, marked as 'uncertain'
- Predicted extent of the level 3 (for sublittoral rock & deep sea) or 4 (for sublittoral sediment) habitat
Point data based on records in the UK Marine Recorder Snapshot. Predicted habitat extent is from UKSeaMap.
Description
Biotope comprising cup coral Caryophyllia smithii and anemone Actinauge richardi attached to small pieces of hard material in the sediment. This assemblage is observed on the shallow parts of Rockall Bank on sand with some gravel / pebble component.
Situation
No situation data available.
Temporal variation
No temporal variation data available.
Characterising species
| Taxon | % of core records where taxon was recorded |
|---|---|
| Munida | |
| Caryophyllia smithii | |
| Caryophyllidae | |
| Ophiactis | |
| Anomiidae | |
| Porifera encrusting (pale) | |
| Actinauge richardi |
Similar biotopes or habitat types
Not applicable or unknown.
